| 8.2 | Streckenverzweigung mit gemeinsamen Nullpunkt Berlin Nordbahnhof |
| 19 | Berlin Nordbf 0,0 - Berlin-Schönholz 3,85 - Löwenberg Reichsb (Mark) 44,25 - Neustrelitz Reichsb 98,53 - Neubrandenburg 133,73 - Stralsund 222,64 - Saßnitz 272,72 - Saßnitz Hafen 274,46 (1937/1943) |
| 19 | Berlin Eberswalder Straße 0,01 - Berlin-Schönholz 3,85 - Grenze Berlin West/DDR 16,31 - Oranienburg 27,41 - Löwenberg (Mark) 44,25 - Neustrelitz 98,53 -Neubrandenburg 133,73 - Stralsund 222,64 - Saßnitz 272,72 - Saßnitz Hafen 274,46 (1967) |
| 127 | (Berlin Nordbf 0,0) - Löwenberg Reichsb (Mark) 44,25 - Templin 77,32 - Fährkrug 82,30 - Prenzlau 116,79 (1937/1943) |
| 127 | (Berlin Eberswalder Straße 0,01) - Löwenberg (Mark) 44,25 - Templin 77,32 - Fährkrug 82,30 - Prenzlau 119,42 (1967) |
| 134 | [Berlin Nordbf 0,0 - Löwenberg Reichsb (Mark) 44,25 - Templin 77,32] - Fährkrug 82,30 - Fürstenwerder Reichsb 114,06 (1937/1943) |
| (Berlin Nordbf 0,0) - Berlin-Schönholz 3,85 - Kremmen 37,24 (1937/1943) | |
| (Berlin Eberswalder Straße 0,01) - Berlin-Schönholz 3,85 - Grenze Berlin West/DDR 17,453 - Henningsdorf (b Berlin) 19,48 - Kremmen 37,24 (1967) | |
| Stralsund Hafenbahn |

Auszug Streckenkarte 1938
Quelle: [1]
Stand der Kilometrierung: 1937/1943
| Berlin Nordbahnhof | 0,01 | ||||||
| ▼ | |||||||
| Berlin-Schönholz | 3,85 | ► | Kremmen | 37,24 | |||
| ▼ | |||||||
| Löwenberg Reichsbahn (Mark) | 44,25 | ► | Templin | 77,32 | |||
| ▼ | |||||||
| ▼ | Fährkrug | 82,30 | ► | Fürstenwerder Reichsbahn | 114,06 | ||
| ▼ | |||||||
| ▼ | Prenzlau | 116,79 | |||||
| ▼ | |||||||
| Neustrelitz Reichsbahn | 98,53 | ||||||
| ▼ | |||||||
| Neubrandenburg | 133,73 | ||||||
| ▼ | |||||||
| Stralsund | 222,64 | ||||||
| ▼ | |||||||
| Abzw Franzburger Kleinbahnen | 223,11 | ► | Hafen | 226,03 | |||
| ▼ | |||||||
| Stralsund Rügendamm | 225,23 | ||||||
| ▼ | |||||||
| Rügendamm | |||||||
| ▼ | |||||||
| Altefähr | 228,14 | ||||||
| ▼ | |||||||
| Bergen (Rügen) | 250,87 | ||||||
| ▼ | |||||||
| Saßnitz | 272,72 | ||||||
| ▼ | |||||||
| Saßnitz Hafen | 274,46 | ||||||
| ▼ | |||||||
| Fähranleger |
Berlin Nordbf 0,0 - Berlin-Schönholz 3,85 - Löwenberg Reichsb (Mark) 44,25 - Neustrelitz Reichsb 98,53 - Neubrandenburg 133,73 - Stralsund 222,64 - Saßnitz 272,72 - Saßnitz Hafen 274,46 (1937/1943)
| Berlin Nordbf | 0,01 | |
| Bk Nmt | 0,50 | |
| Vns | 1,37 | km 2,95 der Strecke Berlin Stettiner Bf -0,28 - Stettin Hbf 134,41 - Belgard 280,01 - Stolp 371,46 - Gr. Boschpol 439,03 - Danzig Hbf 502,55 |
| km 2,64 der Strecke Pankow Verschiebebf 0,0 mit Streckenästen nach Vnp 2,08; Vns 2,64 - Vpr 3,81; Vns 2,64 - Gesundbrunnen 3,52; Vns 2,64 - Güterbf Nord 3,07 (GA) | ||
| Ngn | 2,04 | km 1,90 der Strecke Pankow Verschiebebf 0,0 mit Streckenästen nach Vnp 2,08; Vns 2,64 - Vpr 3,81; Vns 2,64 - Gesundbrunnen 3,52; Vns 2,64 - Güterbf Nord 3,07 (GA) |
| Vnp | 2,48 | km 2,08 der Strecke Pankow Verschiebebf 0,0 mit Streckenästen nach Vnp 2,08; Vns 2,64 - Vpr 3,81; Vns 2,64 - Gesundbrunnen 3,52; Vns 2,64 - Güterbf Nord 3,07 (GA) |
| Wollankstraße | 2,91 | |
| Berlin-Schönholz | 3,85 | |
| ► | km 3,85 der abgehenden Strecke (Berlin Nordbf 0,0) - Berlin-Schönholz 3,85 - Kremmen 37,24 mit weiterlaufender Kilometrierung (Streckenverzweigung mit gemeinsamen Nullpunkt Berlin Nordbf) | |
| Verbindungsgleis zum Bf Berlin-Wilhelmsruh (Niedb E) (Strecke: Berlin-Wilhelmsruh 0,0 - Abzw. Asw 13,941 - Basdorf 17,4 - Wensickendorf 23,0 - Liebenwalde 36,3) | ||
| Berlin-Wilhelmsruh | 5,63 | |
| Wittenau Nordbahn | 8,20 | |
| Waidmannslust | 9,51 | |
| Berlin-Hermsdorf | 11,08 | |
| Berlin-Frohnau | 13,07 | |
| Berlin | ||
| Landesgrenze | 16,31 | nach 1945: Grenze Westberlin/Sowjetische Besatzungszone bzw. Westberlin/DDR |
| Brandenburg | ||
| Hohen Neudorf (b Berlin) | 17,34 | |
| Birkenwerder (b Berlin) | 19,40 | |
| Borgsdorf | 22,48 | |
| Bk Borgsdorf | 22,896 | |
| Lehnitz | 25,70 | |
| Oranienburg | 27,41 | km 38,15 der Strecke Nauen 0,0 - Kremmen 20,63 - Oranienburg 38,15 |
| Sachsenhausen (Nordbahn) | 29,48 | |
| Fichtengrund | 31,49 | |
| Nassenheide (Nordbahn) | 34,79 | |
| Bk Neuholland | 37,32 | |
| Grüneberg (Nordbahn) | 40,76 | |
| Löwenberg Reichsb (Mark) | 44,25 | km 0,0 der Strecke Löwenberg (Mark) 0,0 - Rheinsberg (Mark) 37,58 - Flecken Zechlin 50,6 |
| ► | km 44,25 der abgehenden Strecke (Berlin Nordbf 0,0) - Löwenberg Reichsb (Mark) 44,25 - Templin 77,32 - Fährkrug 82,30 - Prenzlau 116,79 und Fährkrug 82,30 - Fürstenwerder Reichsb 114,06 mit weiterlaufender Kilometrierung (Streckenverzweigung mit gemeinsamen Nullpunkt Berlin Nordbf) | |
| Löwenberg Abzw. | 45,8 | |
| Guten Germendorf | 49,72 | |
| Buberow | 51,75 | |
| Gransee | 56,19 | km 0,0 der Strecke Gransee 0,0 - Neuglobsow 22,8 |
| Stadt Neukölln | 58,29 | |
| Altlüdersdorf | 60,78 | |
| Brandenburg | ||
| Grenze | 64,95 | |
| Mecklenburg | ||
| Dannenwalde | 65,44 | auch: Dannenwalde (Kr Gransee) |
| Bk Gramzow (Meckl) | 69,69 | |
| Drögen | 72,85 | |
| Bk Karlshorst | 74,93 | |
| Fürstenberg (Meckl) | 78,04 | km 123,19 der Strecke (Berlin Stettiner Bf -0,28) - Britz 52,02 - Templin 92,68 - Fürstenberg (Meckl) 123,19 |
| Mecklenburg | ||
| Grenze | 78,27 | |
| Brandenburg | ||
| Brandenburg | ||
| Grenze | 84,17 | |
| Mecklenburg | ||
| Düsterförde | 85,20 | |
| Mecklenburg | ||
| Grenze | 87,43 | |
| Brandenburg | ||
| Brandenburg | ||
| Grenze | 87,54 | |
| Mecklenburg | ||
| Bk Drewin | 89,73 | |
| Strelitz Alt | 95,23 | |
| Neustrelitz Reichsb | 98,53 | km 0,0 der Strecke Neustrelitz 0,0 - Waren (Müritz) 34,05 - Lalendorf 69,73 - Plaaz 80,86 - Rostock Hbf 113,20 - Warnemünde Hbf 126,30 (auch 126,48) |
| km 30,68 der Strecke [Wittenberge 0,0 - Pritzwalk 35,41 - Wittstock (Dosse) 55,47 - Landesgrenze Preußen/Mecklenburg (bei Buschof) km 73,68] = km 0,0 - Buschhof 0,15 - Neustrelitz Süd 30,68 - Landesgrenze Mecklenburg/Preußen km 80,94 = km 61,20 - Strasburg (Uckerm) 60,20 - Pasewalk 41,93 - Stettin Hbf 0,0 (siehe auch Tabelle 4, Ziffer 6) (siehe auch Tabelle 3, Ziffer 15) | ||
| Thurow | 105,16 | |
| Blankensee (Meckl) | 113,40 | |
| Cammin (Meckl) | 117,63 | |
| Stargard (Meckl) | 125,39 | |
| Bk Hinterste Mühle | 130,72 | |
| Neubrandenburg | 133,73 | km 200,92 der Strecke Lübeck Hbf 0,0 - Bad Kleinen 59,3 - Güstrow 113,3 - Malchin 156,3 - Neubrandenburg 200,9 - Landesgrenze Mecklenburg/Preußen (km-Wechsel bei Strasburg km 232,26 = km 62,00, auch Angabe km 234,1 = km 61,1) - Stettin Hbf 0,0 |
| km 0,0 der Strecke Neubrandenburg 0,0 - Friedland (Meckl.) 25,63 | ||
| km 142,36 der Strecke Ludwigslust 0,0 - Parchim 25,90 - Karow (Meckl) 61,00 - Waren (Müritz) 95,79 - Neubrandenburg 142,36 | ||
| 134,4 | ||
| Überlänge | 60 m | |
| 134,5 | ||
| Bk Trollenhagen | 138,26 | |
| Neddemin | 142,26 | |
| Mecklenburg | ||
| Grenze | 143,83 | |
| Pommern | ||
| Bk Thalberg | 145,30 | |
| Altentreptow | 149,11 | bis 1939: Treptow (Tollense) |
| km 50,90 der Strecke Demmin 0,0 - Altentreptow Landesbahn 50,90 (Spurweite 750 mm) | ||
| km 42,1 der Strecke Metschow 0,0 - Altentreptow Landesbahn 42,1 (Spurweite 750 mm) | ||
| Bk Buchar | 153,24 | |
| Gültz | 157,35 | |
| Gnevkow | 161,35 | |
| Sternfeld | 165,24 | |
| Utzedel | 169,81 | |
| Zachariae | 172,35 | |
| Demmin | 176,05 | km 0,0 der Strecke Demmin 0,0 - Altentreptow Landesbahn 50,90 (Spurweite 750 mm) |
| km 0,0 der Strecke Demmin 0,0 - Stavenhagen Klbf 31,2 (Spurweite 750 mm) | ||
| km 0,0 der Strecke Demmin 0,0 - Tutow 13,70 | ||
| km 0,0 der Strecke Demmin 0,0 - Demmin Hafen 2,53 | ||
| (Grenze) | 180,67 | |
| Randow | 181,42 | |
| Toitz-Rustow | 184,85 | km 0,0 der Strecke Toitz-Rustow 0,0 - Loitz 7,20 |
| Düvier | 189,16 | |
| Rakow | 192,70 | |
| Bk Vietlipp | 197,40 | |
| Grimmen | 199,64 | km 25,6 der Strecke Greifswald 0,0 - Tribsees 50,54 |
| Wittenhagen | 208,25 | |
| Elmenhorst | 211,24 | |
| Alt Zarrendorf | 214,69 | |
| Wendorf | 216,02 | Kreuzungsstelle |
| Voigdehagen | 218,92 | |
| Stralsund SRG | 220,14 | km 0,0 der Strecke Stralsund SRG 0,0 - Stralsund Rügendamm 1,49 (auch Angabe 2,2) |
| km 238,32 der Strecke (Berlin Stettiner Bf -0,28) - Angermünde 70,67 - Stralsund 240,80 | ||
| Stralsund | 222,64 | km 240,80 der Strecke (Berlin Stettiner Bf -0,28) - Angermünde 70,67 - Stralsund 240,80 |
| km 0,3 der Strecke Stralsund 0,3 - Rostock Hbf 72,65 | ||
| km 0,0 der Strecke Stralsund 0,0 - Tribsees 36,22 | ||
| Hafenbahn: Stralsund, Weiche 55 km 222,811- Stralsund Hafen km 224,820 | ||
| km 0,0 der Strecke Stralsund Kleinbf 0,0 - Altenpleen 11,47 - Barth 29,23 - Damgarten Nord 57,77 (Franzburger Kreisbahnen) (Spurweite 1000 mm) | ||
| Abzw Franzburger Kleinbahnen | 223,11 | km ?? |
| ► | abgehend nach Hafen 226,03 mit weiterlaufender Kilometrierung | |
| Stralsund Rügendamm | 226,45 | km 1,49 der Strecke Stralsund SRG 0,0 - Stralsund Rügendamm 1,49 (auch Angabe 2,2) |
| Deckungsstelle Altefähr | 228,00 | |
| Altefähr | 228,14 | km 0,0 der Strecke Altefähr 0,0 - Putbus 35,27 - Göhren (Rügen) 59,46 (Spurweite 750 mm) |
| Rambin (Rügen) | 233,93 | |
| Samtens | 239,33 | |
| Teschenhagen | 246,26 | |
| Bergen (Rügen) | 250,87 | km 0,0 der Strecke Bergen (Rügen) 0,0 - Lauterbach (Rügen) 12,02 |
| km 0,0 der Strecke Bergen (Rügen) Ost 0,0 - Wittower Fähre 22,67 - Eisenbahnfähre - Fährhof 23,15 - Altenkirchen (Rügen) 37,7 (Spurweite 750 mm) | ||
| Bk Sabitz | 255,70 | |
| Lietzow | 260,48 | km 0,0 der Strecke Lietzow 0,0 - Binz 12,12 (von dieser Strecke war ein Abzweig über Neu-Mukran nach Saßnitz-Hafen geplant - siehe dazu Kartenausschnitt von 1937) |
| Sagard | 267,38 | |
| Lancken | 270,59 | |
| Sassnitz | 272,72 | |
| Sassnitz Hafen | 274,46 |

Auszug aus der Streckenkarte der Rbd Stettin von 1937
Quelle: [11]
Kilometrierung bis zum Bau des Rügendammes 1936
| ▼ | ||
| Stralsund | 222,64 | |
| Stralsund Hafen | 225,17 | |
| ► | abgehend nach Hafen km 226,03 | |
| Fähranleger | 225,22 | |
| Eisenbahnfähre | ||
| Fähranleger | 227,85 | |
| Altefähr | 227,91 | |
| Rambin (Rügen) | 233,93 | |
| ▼ |

Auszug aus der Streckenkarte der Rbd Stettin von 1928
Quelle: [12]
Stand der Kilometrierung: 1967
| Berlin Eberswalder Straße | 0,01 | ||||||
| ê | |||||||
| Berlin-Schönholz | 3,85 | è | Kremmen | 37,24 | |||
| ê | |||||||
| Löwenberg (Mark) | 44,25 | è | Templin | 77,32 | |||
| ê | ê | ||||||
| Neustrelitz | 98,53 | Fährkrug | 82,30 | ||||
| ê | ê | ||||||
| Neubrandenburg | 133,73 | Prenzlau | 119,42 | ||||
| ê | |||||||
| Stralsund (kommend) | 222,64 | è | Hafen Stralsund | 224,82 | |||
| (gehend) | 223,60 | ||||||
| ê | |||||||
| Saßnitz | 272,72 | ||||||
| ê | |||||||
| Saßnitz Hafen | 274,46 |
Berlin Eberswalder Straße 0,01 - Berlin-Schönholz 3,85 - Grenze Berlin West/DDR 16,31 - Oranienburg 27,41 - Löwenberg (Mark) 44,25 - Neustrelitz 98,53 -Neubrandenburg 133,73 - Stralsund 222,64 - Saßnitz 272,72 - Saßnitz Hafen 274,46 (1967)
| Berlin Eberswalder Straße | 0,01 | Der Nordbahnhof erhielt 1950 mir der Umbenneung des Stettiner Bahnhofes in Nordbahnhof den Namen Berlin Eberswalder Straße oder auch Güterbahnhof Eberswalder Straße. |
| Berlin West | ||
| Grenze | 0,7 | |
| Berlin | ||
| Berlin | ||
| Grenze | 3,205 | |
| Berlin West | ||
| Berlin-Schönholz | 3,85 | |
| ► | km 3,85 der abgehenden Strecke (Berlin Eberswalder Straße 0,01) - Berlin-Schönholz 3,85 - Grenze Berlin West/DDR 17,453 - Henningsdorf (b Berlin) 19,48 - Kremmen 37,24 mit weiterlaufender Kilometrierung (Streckenverzweigung mit gemeinsamen Nullpunkt Berlin Eberswalder Straße) | |
| Verbindungsgleis zum Bf Berlin-Wilhelmsruh (Niedb E) (Strecke: Berlin-Wilhelmsruh 0,0 - Abzw. Asw 13,941 - Basdorf 17,4 - Wensickendorf 23,0 - Liebenwalde 36,3) | ||
| Berlin-Wilhelmsruh | 5,63 | |
| Wittenau Nordbahn | 8,20 | |
| Waidmannslust | 9,51 | |
| Berlin-Hermsdorf | 11,08 | |
| Berlin-Frohnau | 13,07 | |
| Berlin West | ||
| Grenze | 16,31 | |
| DDR | ||
| Streckenunterbrechung zwischen Grenze und Verbindungskurve | ||
| 17,056 | km 0,0 der Verbindungskurve nach Schönfließ (Berliner Außenring) | |
| km 0,0 der Verbindingskurve zum Berliner Außenring Richtung Wustermark | ||
| Hohen Neudorf (b Berlin) | 17,34 | |
| Birkenwerder (b Berlin) | 19,40 | Verbindungskurven zum Berliner Außenring |
| Borgsdorf | 22,48 | |
| Bk Borg | 22,896 | |
| Lehnitz | 25,70 | |
| Oranienburg | 27,41 | km 38,15 der Strecke Nauen 0,0 - Kremmen 20,63 - Oranienburg 38,15 |
| km vom GAR | ||
| Sachsenhausen (Nordbahn) | 29,48 | |
| Fichtengrund | 31,49 | km vom GAR |
| Nassenheide | 34,79 | |
| Grüneberg | 40,76 | |
| Löwenberg (Mark) | 44,25 | km 0,0 der Strecke Löwenberg (Mark) 0,0 - Herzberg (Mark) 14,76 - Rheinsberg (Mark) 37,58 |
| ► | km 44,25 der abgehenden Strecke (Berlin Eberswalder Straße 0,01) - Löwenberg (Mark) 44,25 - Templin 77,32 - Fährkrug 82,30 - Prenzlau 119,42 mit weiterlaufender Kilometrierung (Streckenverzweigung mit gemeinsamen Nullpunkt Berlin Eberswalder Straße) | |
| Abzw. Löwenberg | 45,80 | Verbindungskurve zur Strecke Löwenberg (Mark) 0,0 - Herzberg (Mark) 14,76 - Rheinsberg (Mark) 37,58 |
| Guten Germendorf | 49,72 | |
| Buberow | 51,75 | |
| Gransee | 56,19 | km 0,0 der Strecke Gransee 0,0 - Großwoltersdorf 13,785 |
| Altlüdersdorf | 60,78 | |
| Dannenwalde (Kr Gransee) | 65,44 | |
| Drögen | 72,85 | |
| Fürstenberg (Havel) | 78,04 | km 123,19 der Strecke (Berlin Stettiner Bf -0,28) - Britz 52,02 - Templin 92,68 - Fürstenberg (Havel) 123,19 |
| Abzw | Verbindungskurve zur Strecke (Berlin Stettiner Bf -0,28) - Britz 52,02 - Templin 92,68 - Fürstenberg 123,19 | |
| Düsterförde | 85,20 | |
| Drewin | 88,70 | Kreuzungsstelle |
| Strelitz Alt | 95,23 | Verbindungskurve zur Strecke [Wittenberge 0,0 - Pritzwalk 35,41 - Wittstock (Dosse) 55,47 - Landesgrenze Preußen/Mecklenburg (bei Buschof) km 73,68] = km 0,0 - Buschhof 0,15 - Neustrelitz Süd 30,68 - Landesgrenze Mecklenburg/Preußen km 80,94 = km 61,20 - Strasburg (Uckerm) 60,20 - Pasewalk 41,93 - Stettin Hbf 0,0 (siehe auch Tabelle 4, Ziffer 6) (siehe auch Tabelle 3, Ziffer 15) |
| Neustrelitz | 98,53 | km 0,0 der Strecke Neustrelitz 0,0 - Waren (Müritz) 35,995 - Lalendorf Ost 70,22 - Plaaz 81,495 - Rostock Hbf 113,20 - Warnemünde Hbf 126,30 (auch 126,48) |
| km 30,68 der Strecke [Wittenberge 0,0 - Pritzwalk 35,41 - Wittstock (Dosse) 55,47 - Landesgrenze Preußen/Mecklenburg (bei Buschof) km 73,68] = km 0,0 - Buschhof 0,15 - Neustrelitz Süd 30,68 - Thurow (Meckl) 38,58 = [km 0,0 - Feldberg 18,98] | ||
| Thurow | 105,16 | Kreuzungsstelle |
| Blankensee (Meckl) | 113,40 | |
| Cammin (Meckl) | 117,63 | |
| Burg Stargard (Meckl) | 125,39 | |
| Bk Hinterste Mühle | 130,72 | |
| km 200,92 der Strecke Lübeck Hbf 0,0 - Bad Kleinen 59,3 - Güstrow 113,3 - Malchin 156,3 - Neubrandenburg 200,9 - Landesgrenze Mecklenburg/Preußen (km-Wechsel bei Strasburg km 232,26 = km 62,00, auch Angabe km 234,1 = km 61,1) - Stettin Hbf 0,0 | ||
| km 0,0 der Strecke Neubrandenburg 0,0 - Friedland (Meckl.) 25,63 | ||
| km 142,36 der Strecke Ludwigslust 0,0 - Parchim 25,90 - Karow (Meckl) 61,00 - Waren (Müritz) 95,79 - Neubrandenburg 142,36 | ||
| Neubrandenburg | 133,73 | |
| Neddemin | 142,26 | |
| Altentreptow | 149,11 | |
| Gültz | 157,35 | |
| Gnevkow | 161,35 | |
| Sternfeld | 165,24 | |
| Utzedel | 169,81 | |
| Zachariae | 172,35 | |
| Demmin | 176,05 | km 0,0 der Strecke Demmin 0,0 - Tutow 13,70 |
| km 0,0 der Strecke Demmin 0,0 - Demmin Hafen 2,53 | ||
| Randow | 181,42 | |
| Toitz-Rustow | 184,85 | km 0,0 der Strecke Toitz-Rustow 0,0 - Loitz 7,05 |
| Düvier | 189,16 | |
| Rakow | 192,70 | |
| Grimmen | 199,64 | |
| Wittenhagen | 208,25 | |
| Elmenhorst | 211,24 | |
| Zarrendorf | 214,68 | |
| Voigdehagen | 218,91 | |
| Stralsund SRG | 220,14 | km 0,0 der Strecke Stralsund SRG 0,0 - Stralsund Rügendamm 1,49 (auch Angabe 2,2) |
| km 238,32 der Strecke [Berlin Nordbf (bis 1950 Berlin Stettiner Bf) -0,28] - Angermünde 70,67 (Abzw. von Strecke 2) - Pasewalk 132,25 - Ducherow 163,19 - Stralsund 240,80 | ||
| Stralsund | 222,64 | km 240,80 der Strecke [Berlin Nordbf (bis 1950 Berlin Stettiner Bf) -0,28] - Angermünde 70,67 (Abzw. von Strecke 2) - Pasewalk 132,25 - Ducherow 163,19 - Stralsund 240,80 |
| km 0,0 der Strecke Stralsund 0,0 - Rostock Hbf 72,65 | ||
| Hafenbahn: Stralsund, Weiche 55 km 222,811- Stralsund Hafen km 224,820 | ||
| km 0,0 der Strecke Stralsund Kleinbf 0,0 - Altenpleen 11,47 - Barth 29,23 - Hermannshof 43,47 (Franzburger Kreisbahnen) (Spurweite 1000 mm) | ||
| Überlänge 1320 m | Die Fehllänge ergab sich mit dem Bau des Rügendammes 1936 und der dazu notwendigen Streckenanpassung. | |
| Stralsund Rügendamm | 226,45 | km 1,49 der Strecke Stralsund SRG 0,0 - Stralsund Rügendamm 1,49 (auch Angabe 2,2) |
| Altefähr | 228,31 | km 0,0 der Strecke Altefähr 0,0 - Putbus 35,27 - Göhren (Rügen) 59,46 (Spurweite 750 mm) |
| Rambin (Rügen) | 233,93 | |
| Samtens | 239,33 | |
| Teschenhagen | 246,26 | |
| Bergen (Rügen) | 250,87 | km 0,0 der Strecke Bergen (Rügen) 0,0 - Putbus 9,74Lauterbach (Rügen) 12,02 - Lauterbach (Rügen) Landungsstelle |
| km 0,0 der Strecke Bergen (Rügen) Ost 0,0 - Wittower Fähre 22,67 - Eisenbahnfähre - Fährhof 23,15 - Altenkirchen (Rügen) 37,7 (Spurweite 750 mm) | ||
| Lietzow (Rügen) | 260,48 | km 0,0 der Strecke Lietzow (Rügen) 0,0 - Ostseebad Binz 12,12 |
| Sagard | 267,38 | |
| Lancken | 270,59 | |
| Sassnitz | 272,72 | |
| Sassnitz Hafen | 274,46 |

km 50,0
Foto: Carl Fiebrandt, 27.11.2017

km 55,6 in Gransee
Foto: Carl Fiebrandt, 27.11.2017

km 55,7 in Gransee
Foto: Matthias Manske, 26.08.2012

km 55,7 in Gransee
Foto: Carl Fiebrandt, 27.11.2017

km 55,9 in Gransee
Foto: Carl Fiebrandt, 27.11.2017

km 55,9 in Gransee
Foto: Carl Fiebrandt, 27.11.2017

km 56,0 in Gransee
Foto: Matthias Manske, 26.08.2012

km 56,0 in Gransee
Foto: Carl Fiebrandt, 27.11.2017

km 56,0 (Stein und Tafel) in Gransee
Foto: Carl Fiebrandt, 27.11.2017

km 56,1 in Gransee
Foto: Carl Fiebrandt, 27.11.2017

km 56,2 in Gransee
Foto: Matthias Manske, 26.08.2012

km 56,2 in Gransee
Foto: Matthias Manske, 26.08.2012

Gransee
Foto: Matthias Manske, 26.08.2012

km 56,2 in Gransee
Foto: Matthias Manske, 26.08.2012

km 56,3 in Gransee
Foto: Carl Fiebrandt, 27.11.2017

km 56,4 in Gransee
Foto: Matthias Manske, 26.08.2012
km 56,4 in Gransee
Foto: Carl Fiebrandt, 27.11.2017

km 58,1 in Gransee Ziegelwerke
Foto: Matthias Manske, 23.10.2011
km 58,6
Foto: Carl Fiebrandt, 27.11.2017
km 58,6
Foto: Carl Fiebrandt, 27.11.2017
km 58,8
Foto: Carl Fiebrandt, 27.11.2017
km 59,0
Foto: Carl Fiebrandt, 27.11.2017
km 63,8
Foto: Carl Fiebrandt, 27.11.2017
km 64,2 (Stein und Tafel)
Foto: Carl Fiebrandt, 27.11.2017
km 64,2
Foto: Carl Fiebrandt, 27.11.2017
km 64,4
Foto: Carl Fiebrandt, 27.11.2017
km 64,4
Foto: Carl Fiebrandt, 27.11.2017
km 64,6
Foto: Carl Fiebrandt, 27.11.2017

km 65,0 in Dannenwalde
Foto: Matthias Manske, 24.05.2014
km 65,0 in Dannenwalde
Foto: Carl Fiebrandt, 27.11.2017

km 65,4 in Dannenwalde
Foto: Matthias Manske, 25.10.2011

Dannenwalde
Foto: Matthias Manske, 24.05.2014

km 65,6 in Dannenwalde
Foto: Matthias Manske, 24.05.2014
km 66,8
Foto: Carl Fiebrandt, 27.11.2017
km 67,0
Foto: Carl Fiebrandt, 27.11.2017
km 67,2
Foto: Carl Fiebrandt, 27.11.2017
km 67,4
Foto: Carl Fiebrandt, 27.11.2017
km 67,6
Foto: Carl Fiebrandt, 27.11.2017

km 73,8 zwischen Drögen und Fürstenberg (Havel)
Foto: Matthias Manske, 26.08.2012

km 74,0 zwischen Drögen und Fürstenberg (Havel) - 112 104
Foto: Matthias Manske, 26.08.2012

km 74,2 zwischen Drögen und Fürstenberg (Havel)
Foto: Matthias Manske, 26.08.2012

km 77,0 zwischen Drögen und Fürstenberg (Havel)
Foto: Matthias Manske, 23.10.2011

km 78,1 in Fürstenberg (Havel)
Foto: Matthias Manske, 23.05.2010

km 78,4 in Fürstenberg (Havel) - Stellwerk B2
Foto: Matthias Manske, 23.10.2011

km 78,4 in Fürstenberg (Havel) - Stellwerk B2
Foto: Matthias Manske, 23.10.2011

km 81,1 zwischen Fürstenberg (Havel) und Düsterförde - 185 187
Foto: Norman Gottberg, 19.04.2011

Düsterförde bei km 85,2
Foto: Matthias Manske, 26.08.2012

km 85,2 in Düsterförde
Foto: Matthias Manske, 26.08.2012

km 85,4 (Stein und Tafel) in Düsterförde
Foto: Matthias Manske, 26.08.2012

km 85,6 und km 86,0 in Düsterförde
Foto: Matthias Manske, 26.08.2012

km 86,0 in Düsterförde
Foto: Matthias Manske, 26.08.2012

km 86,8 und km 87,0 zwischen Düsterförde und Drewin
Foto: Matthias Manske, 26.08.2012

km 86,8 zwischen Düsterförde und Drewin
Foto: Matthias Manske, 26.08.2012

km 87,0 zwischen Düsterförde und Drewin
Foto: Matthias Manske, 26.08.2012

km 87,2 und km 87,4 zwischen Düsterförde und Drewin
Foto: Matthias Manske, 26.08.2012

km 87,0 und km 87,6 (Stein links, etwas versteckt) zwischen Düsterförde und Drewin
Foto: Matthias Manske, 26.08.2012

bei km 95,0 in Strelitz Alt
Foto: Matthias Manske, 26.08.2012

km 95,2 in Strehlitz Alt
Foto: Matthias Manske, 10.08.2017

Strehlitz Alt
Foto: Matthias Manske, 10.08.2017

km 95,4 in Strehlitz Alt
Foto: Matthias Manske, 10.08.2017

km 97,6 in Neustrelitz Hbf
km 29,8 gehört zur Strecke
Wittenberge 0,0 - Pritzwalk 35,41 - Wittstock (Dosse) 55,47 - Grenze Preußen/Mecklenburg 73,68 = km 0,0 - Buschhof 0,15 - Mirow 8,94 - Neustrelitz Süd 30,68 - Grenze Mecklenburg/Preußen 80,94 = km 61,20 - Strasburg (Uckerm) 60,20 - Pasewalk 41,93 - Stettin Hbf 0,0
Matthias Manske

2x km 97,8 in Neustrelitz Hbf
km 30,0 gehört zur Strecke
Wittenberge 0,0 - Pritzwalk 35,41 - Wittstock (Dosse) 55,47 - Grenze Preußen/Mecklenburg 73,68 = km 0,0 - Buschhof 0,15 - Mirow 8,94 - Neustrelitz Süd 30,68 - Grenze Mecklenburg/Preußen 80,94 = km 61,20 - Strasburg (Uckerm) 60,20 - Pasewalk 41,93 - Stettin Hbf 0,0
Matthias Manske

km 98,4 in Neustrelitz Hbf
Foto: Heinz Treber, 2015

km 98,5 in Neustrelitz Hbf
Foto: Heinz Treber, 2015

km 98,7 in Neustrelitz Hbf
Foto: Heinz Treber, 2015

km 98,9 in Neustrelitz Hbf
km 0,5 gehört zur Strecke
Neustrelitz 0,0 - Waren (Müritz) 34,05 - Lalendorf 69,73 - Plaaz 80,86 - Rostock Hbf 113,20 - Warnemünde Hbf 126,30 (auch 126,48)
Matthias Manske

km 125,2 in Burg Stargard (Meckl)
Foto: Matthias Manske, 10.08.2017

km 125,4 in Burg Stargard (Meckl)
Foto: Matthias Manske, 10.08.2017

Burg Stargard (Meckl)
Foto: Matthias Manske, 10.08.2017

km 125,4 in Burg Stargard (Meckl)
Foto: Matthias Manske, 10.08.2017

km 125,4 in Burg Stargard (Meckl)
Foto: Matthias Manske, 10.08.2017

km 125,8 in Burg Stargard (Meckl)
Foto: Matthias Manske, 10.08.2017

km 131,7 vor Neubrandenburg - 442 347
Foto: Paul Henke, 02.05.2015

km 133,9 in Neubrandenburg - 132 319
Foto: Stefan Motz, 30.05.1991

km 134,0 in Neubrandenburg - 298 331
Foto: Heinz Treber, 15.07.2018

km 165,0 in Sternfeld
Foto: Matthias Manske, 02.09.2012

km 165,5 in Sternfeld
Foto: Matthias Manske, 02.09.2012

Demmin
km 0,3 gehört zur Strecke Demmin 0,0 - Tutow 13,70
Foto: Dieselkutscher, 26.03.2015

Demmin
km 0,3 gehört zur Strecke Demmin 0,0 - Tutow 13,70
Foto: Dieselkutscher, 26.03.2015

km 192,4 in Rakow - 132 490
Foto: Stefan Motz, 30.05.1991

km 199,2 in Grimmen mit Stellwerk Gst
Foto: Heinz Treber, 14.04.2018

km 199,2 in Grimmen
Foto: Heinz Treber, 14.04.2018

km 199,2 in Grimmen
Foto: Heinz Treber, 14.04.2018

Grimmen
Foto: Heinz Treber, 15.04.2016

Grimmen
Foto: Heinz Treber, 15.04.2016

Grimmen
Foto: Heinz Treber, 14.04.2018

km 199,7 in Grimmen
Foto: Heinz Treber, 15.04.2016

km 199,7 in Grimmen
Foto: Heinz Treber, 15.04.2016

km 199,7 in Grimmen
Foto: Heinz Treber, 15.04.2016

km 199,7 in Grimmen
Foto: Heinz Treber, 14.01.2018

Grimmen - Nordkopf
Foto: Heinz Treber, 15.04.2016

Grimmen - Stellwerk Gnt
Foto: Heinz Treber, 14.04.2018

km 199,9 in Grimmen
Foto: Heinz Treber, 14.04.2018

km 199,9 in Grimmen
Foto: Heinz Treber, 14.04.2018

km 200,2 (Stein), km 200,4 (Tafel) und km 200,6 (Tafel) in Grimmen
Rechts das Gleis nach Grimmen Schützenplatz
Foto: Heinz Treber, 14.04.2018

km 200,3 in Grimmen - 03 1010
Links die ehemalige Strecke Greifswald 0,0 - Grimmen 25,6 - Tribsees 50,5
Heute existiert nur noch das Stück Grimmen Schützenplatz 23,7 - Grimmen 25,6 als Anschlussgleis
Foto: Raimond Ört, November 2015
km 200,3 in Grimmen - 132 334
Der vordere Stein (km 25,0) gehört zur Strecke
Greifswald 0,0 - Grimmen 25,6 - Tribsees 50,5
Heute existiert nur noch das Stück Grimmen Schützenplatz 23,7 - Grimmen 25,6 als Anschlussgleis
Foto: Reinhold Kreschinski, 21.05.2018
km 200,3 in Grimmen - 132 334
Der vordere Stein (km 25,0) gehört zur Strecke
Greifswald 0,0 - Grimmen 25,6 - Tribsees 50,5
Heute existiert nur noch das Stück Grimmen Schützenplatz 23,7 - Grimmen 25,6 als Anschlussgleis
Foto: Reinhold Kreschinski, 21.05.2018

km 200,8 (Tafel) und km 200,9 (Stein) in Grimmen
Links im Hintergrund die ehemalige Strecke Greifswald 0,0 - Grimmen 25,6 - Tribsees 50,5
Heute existiert nur noch das Stück Grimmen Schützenplatz 23,7 - Grimmen 25,6 als Anschlussgleis
Foto: Heinz Treber, 14.01.2018

km 201,0 in Grimmen
Foto: Heinz Treber, 14.01.2018

km 203,x zwischen Grimmen und Wittenhagen - 132 314
Foto: Stefan Motz, 30.05.1991

km 219,0 bei Voigdehagen - 628 632 als RE 33047 (Stralsund - Neustrelitz)
Foto: Jens-Peter Schlör, 09.02.2009

km 219,0 bei Voigdehagen - OLA-Tw 007 als OLA79785
Foto: Jens-Peter Schlör, 29.05.2012

km 220,0 (Tafel im Hintergrund) am Abzw Stralsund SRG - 232 131 mit Schneeschleuder
km 238,4 (Tafel im Hintergrund) gehört zur Strecke
(Berlin Nordbf -0,28) - Angermünde 70,67 - Jatznick 142,88 - Ducherow 163,19 - Züssow 191,90 - Greifswald 209,60 - Stralsund 240,80
Foto: Jens-Peter Schlör, 10.01.2010

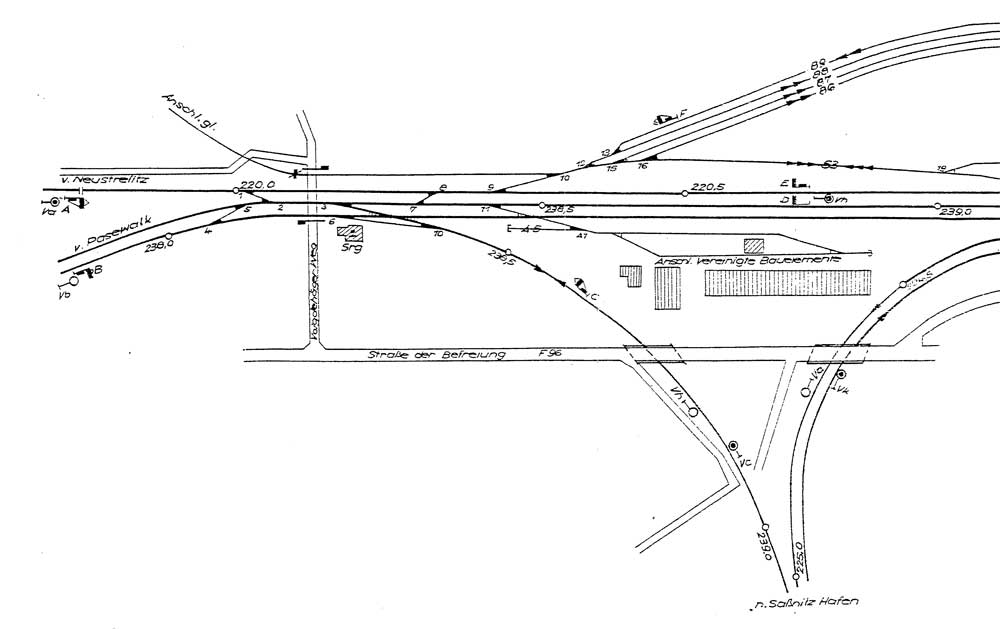
Teillageplan Stralsund, Abzw SRG; 1979
Quelle: Sporenplan

km 220,0 in Stralsund, Abzw SRG
Foto: Matthias Manske, 06.11.2015

km 220,2 in Stralsund
Foto: Matthias Manske, 06.11.2015

km 220,7 in Stralsund
Foto: Matthias Manske, 06.11.2015

km 221,0 in Stralsund - 143 078
Foto: Karl-Hans Fischer, 20.06.1997

km 221,0 in Stralsund
Foto: Matthias Manske, 06.11.2015

Übersicht in Stralsund
Links abgehend zwei Gleise in Richtung Sassnitz,
daneben zwei Gleise des Streckenastes
[Berlin Nordbf (bis 1950 Berlin Stettiner Bf) -0,28] - Angermünde 70,67 (Abzw. von Strecke 2) - Pasewalk 132,25 - Ducherow 163,19 - Stralsund 240,80,
daneben das Gleis von Berlin Nordbahnhof.
Foto: Heinz Treber, 14.12.2016

km 221,1 in Stralsund
Foto: Matthias Manske, 06.11.2015

km 221,1 in Stralsund
Foto: Matthias Manske, 06.11.2015

km 221,2 in Stralsund
Foto: Matthias Manske, 06.11.2015

km 221,3 in Stralsund
Die Angabe km 239,457 an der Trapeztafel gehört zur Strecke
[Berlin Nordbf (bis 1950 Berlin Stettiner Bf) -0,28] - Angermünde 70,67 (Abzw. von Strecke 2) - Pasewalk 132,25 - Ducherow 163,19 - Stralsund 240,80
Foto: Matthias Manske, 06.11.2015

km 221,4 in Stralsund
Foto: Heinz Treber, 14.12.2016

km 221,4 in Stralsund
Foto: Heinz Treber, 14.12.2016

Stralsund - Wasserturm - 143 213
Foto: Karl-Hans Fischer, 20.06.1997

km 222,1 in Stralsund - 112 116
Foto: Paul Wegner, 29.09.2013

ebenfalls km 222,1 in Stralsund, aber 25 Jahre früher
Sonderzug anlässlich Aufnahme des elektrischen Betriebes zwischen Greifswald und Stralsund
Foto: Mathias Gottschewsky, 17.12.1988

Stralsund
Foto: Heinz Treber, 27.10.2015

Stralsund
Foto: Heinz Treber, 27.10.2015

Stralsund
Foto: Heinz Treber, 27.10.2015

km 223,7 in Stralsund - PRESS 204 010 mit Schneeschleider
Foto: Jens-Peter Schlör, 13.02.2010

km 223,7 (Stein) und km 223,8 (Tafeln) zwischen Stralsund und Stralsund Rügendamm
Foto: Matthias Manske, 21.05.2016

km 223,8 zwischen Stralsund und Stralsund Rügendamm
km 239,7 gehört zum Streckenast (Berlin) - Angermünde - Stralsund der Stettiner Bahn
Foto: Matthias Manske, 21.05.2016

km 223,8 in Stralsund
Foto: Heinz Treber, 14.12.2016

km 224,0 zwischen Stralsund und Stralsund Rügendamm
Foto: Matthias Manske, 21.05.2016

km 224,0 zwischen Stralsund und Stralsund Rügendamm
Foto: Matthias Manske, 21.05.2016

km 224,0 zwischen Stralsund und Stralsund Rügendamm
Foto: Matthias Manske, 21.05.2016

km 224,0 zwischen Stralsund und Stralsund Rügendamm
km 239,4 gehört zum Streckenast (Berlin) - Angermünde - Stralsund der Stettiner Bahn
Foto: Matthias Manske, 21.05.2016

km 224,0 (Stein und Tafel) zwischen Stralsund und Stralsund Rügendamm
Foto: Heinz Treber, 14.12.2016

km 224,0 zwischen Stralsund und Stralsund Rügendamm
Foto: Heinz Treber, 14.12.2016

km 224,0 zwischen Stralsund und Stralsund Rügendamm
Foto: Heinz Treber, 14.12.2016

km 224,0 zwischen Stralsund und Stralsund Rügendamm
Foto: Heinz Treber, 14.12.2016

km 224,0 (Stein und Tafel) zwischen Stralsund und Stralsund Rügendamm
Foto: Heinz Treber, 14.12.2016

km 224,2 zwischen Stralsund und Stralsund Rügendamm
km 239,2 gehört zum Streckenast (Berlin) - Angermünde - Stralsund der Stettiner Bahn
Foto: Matthias Manske, 21.05.2016

km 224,2 zwischen Stralsund und Stralsund Rügendamm
km 239,2 gehört zum Streckenast (Berlin) - Angermünde - Stralsund der Stettiner Bahn
Foto: Matthias Manske, 21.05.2016

km 224,2 zwischen Stralsund und Stralsund Rügendamm
Foto: Heinz Treber, 14.12.2016

km 224,4 zwischen Stralsund und Stralsund Rügendamm
Foto: Matthias Manske, 21.05.2016

km 224,4 zwischen Stralsund und Stralsund Rügendamm
Foto: Matthias Manske, 21.05.2016

km 224,4 zwischen Stralsund und Stralsund Rügendamm
Foto: Heinz Treber, 14.12.2016

km 224,4 zwischen Stralsund und Stralsund Rügendamm
Foto: Heinz Treber, 14.12.2016

km 225,0 zwischen Stralsund und Stralsund Rügendamm
Foto: Matthias Manske, 21.05.2016

km 225,4 zwischen Stralsund und Stralsund Rügendamm
Foto: Matthias Manske, 21.05.2016

am km 226,0 - Noch spannungslos wird 482 040 (LOCON) von RE 13030 Ostseebad Binz - Stralsund Hbf tangiert.
Foto: Gunnar Salchert, März 2012

km 226,0 zwischen Stralsund und Stralsund Rügendamm
Foto: Matthias Manske, 21.05.2016

Im Vordergrund die Klappbrücke im Rügendamm (Schiene und Straße)
Im Hintergrund die neue Hochbrücke
Foto: Klaus Poppe, 17.01.2010

km 228,6 am Rügendamm
Foto: Matthias Manske, 21.05.2016

km 228,8 am Rügendamm
Foto: Matthias Manske, 21.05.2016
km 228,8 (Tafel) und km 228,9 (Stein, rechts im Bild) am Rügendamm - FLIRT auf der Fahrt nach Binz
Foto: Jens-Peter Schlör, 16.07.2016

km 229,0 in Altefähr
Foto: Matthias Manske, 21.05.2016

km 229,2 in Altefähr
Foto: Matthias Manske, 21.05.2016

km 229,4 in Altefähr
Foto: Heinz Treber, 27.10.2015

km 229,5 in Altefähr
Foto: Heinz Treber, 27.10.2015

km 229,5 in Altefähr
Foto: Heinz Treber, 27.10.2015

km 229,5 in Altefähr
Foto: Heinz Treber, 27.10.2015

km 229,5 in Altefähr
Foto: Matthias Manske, 21.05.2016

km 229,6 in Altefähr
Angaben auf Stein und Tafel stimmen trotz veränderter Kilometrierung überein - Klärungsbedarf
Foto: Heinz Treber, 27.10.2015

km 229,6 in Altefähr
Foto: Heinz Treber, 27.10.2015

km 229,5 und km 229,6 in Altefähr
Foto: Matthias Manske, 21.05.2016

km 229,6 in Altefähr
Foto: Matthias Manske, 21.05.2016

km 229,6 und km 229,7 in Altefähr
Foto: Matthias Manske, 21.05.2016

km 229,8 in Altefähr
Foto: Matthias Manske, 21.05.2016

km 229,9 in Altefähr
Foto: Matthias Manske, 21.05.2016

km 230,0 in Altefähr
Foto: Matthias Manske, 21.05.2016

km 223,0 in Altefähr
Foto: Matthias Manske, 21.05.2016

km 230,0 und km 230,1 in Altefähr
Foto: Matthias Manske, 21.05.2016

km 230,3 in Altefähr
Foto: Matthias Manske, 21.05.2016

km 230,4 in Altefähr
Foto: Matthias Manske, 21.05.2016

km 230,4 zwischen Altefähr und Rambin (Rügen)
Foto: Matthias Manske, 21.05.2016

km 230,8 zwischen Altefähr und Rambin (Rügen)
Foto: Matthias Manske, 21.05.2016

km 231,4 zwischen Altefähr und Rambin (Rügen)
Foto: Matthias Manske, 21.05.2016

km 232,0 zwischen Altefähr und Rambin (Rügen)
Foto: Matthias Manske, 21.05.2016

km 232,4 zwischen Altefähr und Rambin (Rügen)
Foto: Matthias Manske, 21.05.2016

km 232,6 zwischen Altefähr und Rambin (Rügen)
Foto: Matthias Manske, 21.05.2016

km 232,8 zwischen Altefähr und Rambin (Rügen)
Foto: Matthias Manske, 21.05.2016

km 232,8 zwischen Altefähr und Rambin (Rügen)
Foto: Matthias Manske, 21.05.2016

km 232,8 zwischen Altefähr und Rambin (Rügen)
Foto: Matthias Manske, 21.05.2016

km 233,0 zwischen Altefähr und Rambin (Rügen)
Foto: Matthias Manske, 21.05.2016

km 233,0 (Stein und Tafel) zwischen Altefähr und Rambin (Rügen)
Foto: Matthias Manske, 21.05.2016

km 233,0 (Stein und Tafel) zwischen Altefähr und Rambin (Rügen)
Foto: Paul Hoffmann, September 2016

km 233,6 zwischen Altefähr und Rambin (Rügen)
Foto: Matthias Manske, 21.05.2016

km 234,0 zwischen Altefähr und Rambin (Rügen)
Foto: Matthias Manske, 21.05.2016

km 234,0 zwischen Altefähr und Rambin (Rügen)
Foto: Matthias Manske, 21.05.2016

km 234,1 zwischen Altefähr und Rambin (Rügen) - 103 235 mit IR 91312
Foto: Jens-Peter Schlör, 20.09.2009

km 234,2 zwischen Altefähr und Rambin (Rügen)
Foto: Matthias Manske, 21.05.2016

km 234,2 zwischen Altefähr und Rambin (Rügen)
Foto: Matthias Manske, 21.05.2016

km 234,4 zwischen Altefähr und Rambin (Rügen)
Foto: Matthias Manske, 21.05.2016

km 234,6 zwischen Altefähr und Rambin (Rügen)
Foto: Matthias Manske, 21.05.2016

km 234,7 zwischen Altefähr und Rambin (Rügen)
Foto: Matthias Manske, 21.05.2016

km 234,8 in Rambin (Rügen)
Foto: Matthias Manske, 21.05.2016

km 234,8 in Rambin (Rügen)
Foto: Matthias Manske, 21.05.2016

km 234,9 (Stein) und km 235,0 (Tafel) in Rambin (Rügen)
Foto: Karl-Hans Fischer, 22.06.1997

km 234,9 in Rambin (Rügen)
Foto: Matthias Manske, 21.05.2016

km 235,0 in Rambin (Rügen)
Foto: Matthias Manske, 21.05.2016

km 235,0 in Rambin (Rügen)
Foto: Matthias Manske, 21.05.2016

km 235,1 in Rambin (Rügen)
Foto: Matthias Manske, 21.05.2016

km 235,1 in Rambin (Rügen)
Foto: Matthias Manske, 21.05.2016

km 235,2 in Rambin (Rügen)
Foto: Matthias Manske, 21.05.2016

km 235,4 in Rambin (Rügen)
Foto: Matthias Manske, 21.05.2016

km 235,6 in Rambin (Rügen)
Foto: Matthias Manske, 21.05.2016

km 235,6 in Rambin (Rügen)
Foto: Matthias Manske, 21.05.2016

km 235,8 in Rambin (Rügen)
Foto: Karl-Hans Fischer, 22.06.1997

km 235,8 in Rambin (Rügen)
Foto: Matthias Manske, 21.05.2016

km 236,0 zwischen Rambin (Rügen) und Samtens
Foto: Matthias Manske, 21.05.2016

km 236,2 zwischen Rambin (Rügen) und Samtens
Foto: Heinz Treber, 14,12.2016

km 236,4 zwischen Rambin (Rügen) und Samtens
Foto: Matthias Manske, 21.05.2016

km 236,4 zwischen Rambin (Rügen) und Samtens
Foto: Matthias Manske, 21.05.2016

km 236,4 zwischen Rambin (Rügen) und Samtens
Foto: Heinz Treber, 14,12.2016

km 236,8 und 237,0 zwischen Rambin (Rügen) und Samtens
Foto: Heinz Treber, 14,12.2016

km 236,8 zwischen Rambin (Rügen) und Samtens
Foto: Heinz Treber, 14,12.2016

km 237,0 zwischen Rambin (Rügen) und Samtens
Foto: Matthias Manske, 21.05.2016

km 237,1 zwischen Rambin (Rügen) und Samtens
Foto: Matthias Manske, 21.05.2016

km 237,5 zwischen Rambin (Rügen) und Samtens
Foto: Matthias Manske, 21.05.2016

km 237,9 zwischen Rambin (Rügen) und Samtens
Foto: Matthias Manske, 21.05.2016

km 238,0 zwischen Rambin (Rügen) und Samtens
Foto: Matthias Manske, 21.05.2016

km 238,9 zwischen Rambin (Rügen) und Samtens
Foto: Matthias Manske, 21.05.2016

km 239,0 zwischen Rambin (Rügen) und Samtens
Foto: Matthias Manske, 21.05.2016

km 239,6 in Samtens
Foto: Matthias Manske, 21.05.2016

km 240,0 in Samtens
Foto: Matthias Manske, 21.05.2016

km 240,0 in Samtens
Foto: Matthias Manske, 21.05.2016

km 240,2 in Samtens
Foto: Matthias Manske, 21.05.2016

km 240,4 in Samtens
Foto: Matthias Manske, 21.05.2016

km 240,4 in Samtens
Foto: Matthias Manske, 21.05.2016

km 240,6 in Samtens
Foto: Matthias Manske, 21.05.2016

km 240,6 in Samtens
Foto: Matthias Manske, 21.05.2016

km 240,8 in Samtens
Foto: Matthias Manske, 21.05.2016

km 240,8 in Samtens
Foto: Matthias Manske, 21.05.2016

km 241,0 in Samtens
Foto: Matthias Manske, 21.05.2016

km 241,2 zwischen Samtens und Teschenhagen
Foto: Matthias Manske, 21.05.2016

km 241,4 zwischen Samtens und Teschenhagen
Foto: Matthias Manske, 21.05.2016

km 241,6 zwischen Samtens und Teschenhagen
Foto: Matthias Manske, 21.05.2016

km 241,8 zwischen Samtens und Teschenhagen
Foto: Matthias Manske, 21.05.2016

km 242,0 zwischen Samtens und Teschenhagen
Foto: Matthias Manske, 21.05.2016

km 242,2 zwischen Samtens und Teschenhagen
Foto: Matthias Manske, 21.05.2016

km 242,4 zwischen Samtens und Teschenhagen
Foto: Matthias Manske, 21.05.2016

km 242,6 zwischen Samtens und Teschenhagen
Foto: Matthias Manske, 21.05.2016

km 242,8 zwischen Samtens und Teschenhagen
Foto: Matthias Manske, 21.05.2016

km 243,0 zwischen Samtens und Teschenhagen
Foto: Matthias Manske, 21.05.2016

km 243,2 zwischen Samtens und Teschenhagen
Foto: Matthias Manske, 21.05.2016

km 243,4 zwischen Samtens und Teschenhagen
Foto: Matthias Manske, 21.05.2016

km 243,6 zwischen Samtens und Teschenhagen
Foto: Matthias Manske, 21.05.2016

km 243,8 zwischen Samtens und Teschenhagen
Foto: Matthias Manske, 21.05.2016

km 243,9 zwischen Samtens und Teschenhagen - 03 0048
Foto: Jens van der Vorm, Mai 1978 Sammlung: André Visser

km 244,0 zwischen Samtens und Teschenhagen
Foto: Matthias Manske, 21.05.2016

km 244,2 und km 244,3 zwischen Samtens und Teschenhagen
Foto: Matthias Manske, 21.05.2016

km 244,4 und km 244,6 zwischen Samtens und Teschenhagen
Foto: Matthias Manske, 21.05.2016

km 244,6 zwischen Samtens und Teschenhagen
Foto: Matthias Manske, 21.05.2016

km 244,6 und km 244,8 zwischen Samtens und Teschenhagen
Foto: Matthias Manske, 21.05.2016

km 245,0 (Stein und Tafel) zwischen Samtens und Teschenhagen
Foto: Stefan Motz, 29.08.2015

km 245,0 zwischen Samtens und Teschenhagen
Foto: Stefan Motz, 29.08.2015

km 245,0 zwischen Samtens und Teschenhagen
Foto: Matthias Manske, 21.05.2016

km 245,2 zwischen Samtens und Teschenhagen
Foto: Matthias Manske, 21.05.2016

km 245,7 zwischen Samtens und Teschenhagen
Foto: Stefan Motz, 29.08.2015

km 245,7 zwischen Samtens und Teschenhagen
Foto: Stefan Motz, 29.08.2015

km 246,0 zwischen Samtens und Teschenhagen
Foto: Matthias Manske, 21.05.2016

km 246,2 zwischen Samtens und Teschenhagen
Foto: Matthias Manske, 21.05.2016

km 246,4 zwischen Samtens und Teschenhagen
Foto: Matthias Manske, 21.05.2016

km 246,6 zwischen Samtens und Teschenhagen
Foto: Matthias Manske, 21.05.2016

km 247,2 zwischen Samtens und Teschenhagen
Foto: Matthias Manske, 21.05.2016

km 247,3 in Teschenhagen
Foto: Matthias Manske, 21.05.2016

km 247,4 in Teschenhagen
Foto: Matthias Manske, 21.05.2016

km 247,6 in Teschenhagen
Foto: Karl-Hans Fischer, 22.06.1997

km 247,8 in Teschenhagen
Foto: Matthias Manske, 21.05.2016

km 248,0 zwischen Teschenhagen und Bergen auf Rügen
Foto: Karl-Hans Fischer, 22.06.1997

km 248,0 zwischen Teschenhagen und Bergen auf Rügen
Foto: Matthias Manske, 21.05.2016

km 248,4 zwischen Teschenhagen und Bergen auf Rügen
Foto: Matthias Manske, 21.05.2016

km 248,6 zwischen Teschenhagen und Bergen auf Rügen
Foto: Matthias Manske, 21.05.2016

km 249,0 zwischen Teschenhagen und Bergen auf Rügen
Foto: Matthias Manske, 21.05.2016

km 249,2 zwischen Teschenhagen und Bergen auf Rügen
Foto: Matthias Manske, 21.05.2016

km 249,3 und km 249,4 zwischen Teschenhagen und Bergen auf Rügen
Foto: Ingmar Weidig, 17.08.2013

km 249,4 zwischen Teschenhagen und Bergen auf Rügen
Foto: Matthias Manske, 21.05.2016

km 249,6 zwischen Teschenhagen und Bergen auf Rügen
Foto: Matthias Manske, 21.05.2016

km 250,0 zwischen Teschenhagen und Bergen auf Rügen
Foto: Matthias Manske, 21.05.2016

km 251,0 in Bergen auf Rügen
Foto: Matthias Manske, 21.05.2016

km 251,2 in Bergen auf Rügen
Foto: Heinz Treber, 14.12.2016

km 251,6 in Bergen auf Rügen
Foto: Heinz Treber, 14.12.2016

km 251,6 in Bergen auf Rügen
Foto: Heinz Treber, 14.12.2016

km 251,8 in Bergen (Rügen) - 143 860
Foto: Ingmar Weidig, 27.06.1994

km 251,8 in Bergen auf Rügen
Foto: Heinz Treber, 14.12.2016

km 251,8 in Bergen auf Rügen
Foto: Heinz Treber, 14.12.2016

km 251,8 in Bergen auf Rügen
Foto: Heinz Treber, 14.12.2016

km 252,0 in Bergen auf Rügen - 650 032
Foto: Heinz Treber, 14.12.2016

km 252,0 in Bergen auf Rügen
Foto: Heinz Treber, 14.12.2016

km 252,0 in Bergen auf Rügen - 650 032
Foto: Heinz Treber, 14.12.2016

km 252,2 in Bergen (Rügen)
Foto: Ingmar Weidig, 08.08.2013

km 252,2 (Tafel und Stein) in Bergen auf Rügen
Foto: Heinz Treber, 14.12.2016

km 252,2 in Bergen auf Rügen
Foto: Heinz Treber, 14.12.2016

km 252,2 in Bergen auf Rügen
Am Haus ist noch der Name Bergen (Rügen) zu erkennen.
Foto: Heinz Treber, 14.12.2016

km 252,2 in Bergen auf Rügen
Foto: Heinz Treber, 14.12.2016

km 252,5 in Bergen auf Rügen
Foto: Matthias Manske, 21.05.2016

km 254,8 zwischen Bergen (Rügen) und Lietzow (Rügen)
Foto: Ingmar Weidig, 17.08.2013

km 254,8 zwischen Bergen (Rügen) und Lietzow (Rügen)
Foto: Dieselkutscher, 25.03.2015

km 261,2 in Lietzow (Rügen)
Foto: Heinz Treber, 14.12.2016

km 261,3 in Lietzow (Rügen)
Foto: Ingmar Weidig, 16.08.2013

km 261,4 in Lietzow (Rügen)
Foto: Heinz Treber, 27.10.2015

km 261,6 in Lietzow (Rügen)
Foto: Heinz Treber, 14.12.2016

km 262,2 in Lietzow (Rügen) und Stellwerk B2
Im Hintergrund nach rechts abgehend die Strecke Lietzow (Rügen) 0,0 - Ostseebad Binz 12,12
Foto: Karl-Hans Fischer, 22.06.1997

km 264,8 zwischen Lietzow (Rügen) un Sassnitz-Mukran - 151 124
Foto: Norman Gottberg, 19.07.2017

km 265,2 (Tafel) am Abzw Sassnitz-Mukran/Borchitz
Davor km 264,1 (Stein)
Hier zeigt sich auch der Kilometrierungsunterschied.
Foto: Heinz Treber, 14.12.2016
Erklärung des Kilometrierungsunterschiedes
|
Mit Stand 1928 befand sich
eine Überlänge von 640 m zwischen Stralsund und
Stralsund Hafen. Mit dem Bau des Rügendammes
1936 ergab sich durch die Gleisveränderungen ein
Überlänge von 1230 m zwischen Stralsund und
Stralsund Rügendamm (640 m von 1928
eingeschlossen). Auf den Karten von 1951 und
1967 scheint die Überlänge in den Bereich des
Bahnhofes Stralsund Rügendamm verlegt zu sein. Wahrscheinlich in Vorbereitung der Elektrifizierung wurde die Überlänge beseitigt, d.h. die Kilometrierung von Stralsund nach Saßnitz und Saßnitz Hafen wurde verändert. Die Bilder von der Strecke zeigen aber, dass bis auf Saßnitz die Angaben der Steine mit den Tafeln übereinstimmen. Das erfordert noch Klärungsbedarf. |

km 265,2 (Tafel) am Abzw Sassnitz-Mukran/Borchitz
km 0,2 gehört zur Strecke Abzw Sassnitz-Mukran/Borchitz, W1, km -0,021 - Abzw Sassnitz-Mukran/Borchitz 0,28 - Sassnitz-Mukran Mitte 2,77 - Sassnitz-Mukran Pbf 5,02 (6954)
Foto: Heinz Treber, 14.12.2016

km 264,1 (Stein) am Abzw Sassnitz-Mukran/Borchitz
Foto: Heinz Treber, 14.12.2016

km 264,1 (Stein) am Abzw Sassnitz-Mukran/Borchitz
Foto: Heinz Treber, 14.12.2016

km 265,2 (Tafel) am Abzw Sassnitz-Mukran/Borchitz
Davor km 264,1 (Stein) der alten Kilometrierung.
Foto: Heiko Golla, 26.06.2017

km 272,5 in Saßnitz - 120 019
Foto: Dieselkutscher, 1989

km 272,6 in Saßnitz - 243 897
Foto: Ingmar Weidig, 17.08.1990

Saßnitz - 232 535
Foto: Karl-Hans Fischer, 21.06.1997

km 272,8 (Stein) in Saßnitz
Links etwas versteckt km 274,0 (Tafel) - gehört schon zur Strecke nach Saßnitz Hafen.
Foto: Heinz Treber, 26.08.2000

km 272,8 (Stein) in Saßnitz
Der Stein zeigt die Kilometrierung von Berlin aus an.
Die Kilometertafel zeigt km 273,8 an.
Foto: Andreas Melchert, März 2015
Erklärung des Kilometrierungsunterschiedes
|
Mit Stand 1928 befand sich
eine Überlänge von 640 m zwischen Stralsund und
Stralsund Hafen. Mit dem Bau des Rügendammes
1936 ergab sich durch die Gleisveränderungen ein
Überlänge von 1230 m zwischen Stralsund und
Stralsund Rügendamm (640 m von 1928
eingeschlossen). Auf den Karten von 1951 und
1967 scheint die Überlänge in den Bereich des
Bahnhofes Stralsund Rügendamm verlegt zu sein. Wahrscheinlich in Vorbereitung der Elektrifizierung wurde die Überlänge beseitigt, d.h. die Kilometrierung von Stralsund nach Saßnitz und Saßnitz Hafen wurde verändert. Die Bilder von der Strecke zeigen aber, dass bis auf Saßnitz die Angaben der Steine mit den Tafeln übereinstimmen. Das erfordert noch Klärungsbedarf. |
Übersichtstabelle
| 1928 | 1937/1943 | 1951 | 1967 | 1979 | 1987 | 2000 | 2011 | |
| Berlin Nordbf | -0,02 | 0,01 | ||||||
| Berlin Eberswalder Straße | 0,01 | 0,01 | 0,01 | 0,01 | 0,01 | |||
| Berlin-Gesundbrunnen | 0,53 | |||||||
| ▼ | ||||||||
| ▼ | ||||||||
| Stralsund | 222,64 | 222,64 | 222,64 | 222,64 | 222,64 | 222,64 | 223,07 | 222,64 |
| Überlänge | 640 m | 1230 m | - | - | - | - | - | - |
| Stralsund Rügendamm | 225,23 | 226,45 | 226,45 | 226,45 | 226,45 | 226,45 | 226,45 | |
| Überlänge | 1230 m | ? | - | - | - | - | ||
| Altefähr | 227,91 | 228,14 | 228,14 | 228,31 | 229,38 | 229,38 | 229,37 | 229,45 |
| Bergen (Rügen) | 250,87 | 250,87 | 250,87 | 250,87 | 252,09 | 252,09 | 252,09 | 252,09 |
| Saßnitz | 272,72 | 272,72 | 272,72 | 272,72 | 273,81 | 273,81 | 273,89 | 273,89 |
| Saßnitz Hafen | 274,46 | 274,46 | 274,46 | 274,46 | 275,83 | 275,83 | 275,82 | - |

km 273,8 in Saßnitz
Klärungsbedarf - siehe oben
Foto: Heinz Treber, 26.08.2000

km 273,0 - wahrscheinlich aus Platzgründen quer zum Gleis aufgestellt
Foto: Matthias Manske, 27.12.2012

km 273,0 - Rückseite
Foto: Matthias Manske, 27.12.2012

km 273,2
Foto: Matthias Manske, 27.12.2012

km 273,3
Foto: Matthias Manske, 27.12.2012

km 273,8
Foto: Matthias Manske, 27.12.2012

km 273,9
Foto: Matthias Manske, 27.12.2012

km 273,9 - aus der anderen Richtung
Foto: Matthias Manske, 27.12.2012

Saßnitz Hafen - Fähranleger - 232 535 und 143 xxx
Foto: Karl-Hans Fischer, 21.06.1997
| Startseite | Strecken in Deutschland (Tabelle1) | Strecken in Thüringen | Kilometrierung | Impressum |